This is How the Magic Happens

Photo by Richard Luckin
What's happening in Golden today?
Events for Wednesday, Jun. 5th
- All day - CURRENT EXHIBITS AT THE MUSEUMS
- All day - Live Workouts with Community Center Pros
- All day - Golden History Tours
- 9-10:15AM - Golden Walks
- 10:15-10:45AM - Toddler Time
- 3-5PM - Virtual/Call In: Hard Times Writing Workshop
- 4-5PM - Adventures in Gardening
- 6-9PM - Open Mic Night with Derek Hall @ Morris & Mae
- 6:30PM - Trivia Night
- 6:30PM - Planning Commission Meeting
- 6:30-8PM - Virtual: Teen Short Story Writing Camp
For more information, click the item above or visit the Golden Today Calendar
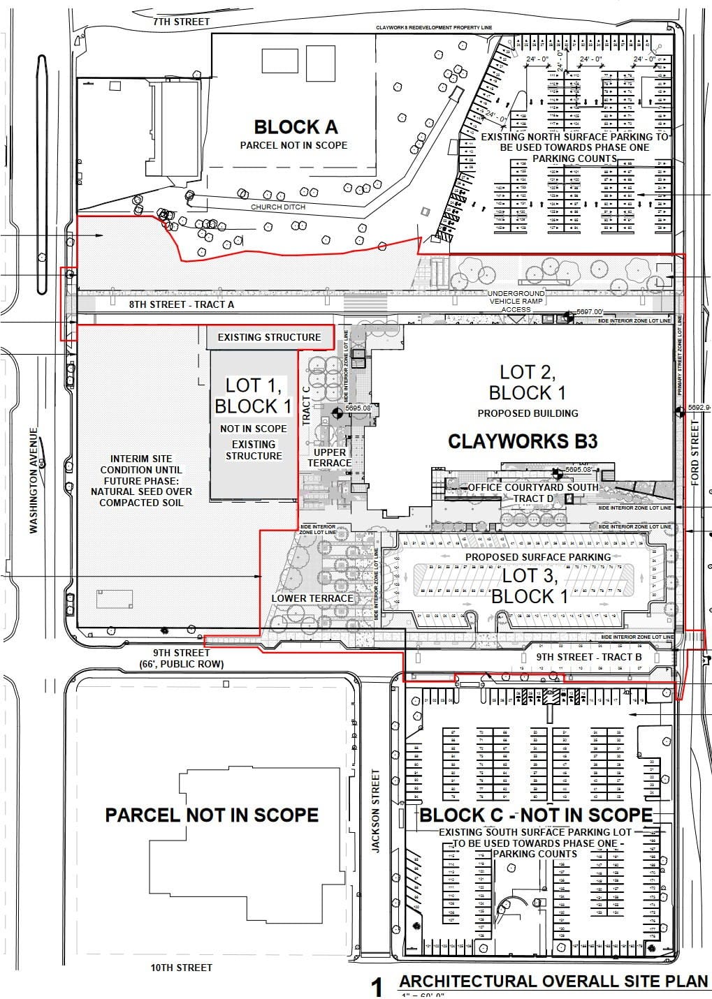
6:30PM Planning Commission Meeting @ City Hall

The Planning Commission will review the plans for the first building in the CoorsTek redevelopment/Clayworks-to-Be. It will be a 4-story office building in the center-east section of the property (labeled as "Clayworks B3" on the drawing above).
You may recall that the overall plan for the 5-block property, which was reviewed by Planning Commission in the spring of 2022, anticipates significant increases in traffic, which will require significant changes to the surrounding streets. This first building will not generate enough new traffic to require those changes yet.
Likewise, the fully-built-out plan would, under normal City zoning codes, require more parking than they plan to include. They propose an alternative to onsite parking known as "Transportation Demand Management." This would allow a range of alternatives such as encouraging tenants to use bicycles or mass transit, rather than driving to the site. If necessary, they will add off-site parking. This, too, will not be necessary when this first building opens, because the existing surface lots at the northeast and southeast corners will still be available.
See the meeting packet for more information about the project plans and status.
Buy Tickets Now for the Summer Jam

The Golden Civic Foundation's 7th Annual Summer Jam is scheduled for June 20th. This is a family-friendly event held at the Colorado Railroad Museum, and it's a wonderful way to spend a summer evening. Buy your tickets now, because they often sell out. Here's the announcement:
Join us for the 7th Annual Golden Summer Jam, a community celebration of local talent and flavor!
Thursday, June 20, 2024 | 5:30 PM - 9:30 PM | Doors: 5:00 PM
Colorado Railroad Museum, 17155 W. 44th Ave., Golden, CO
- 100% Golden-sourced
- Live Music Lineup
- Family Fun & Activities for All Ages
- Local bites & beer
- Explore CRRM’s 15-acre railyard & 100+ locomotives
- Tickets - Adults $35, Kids Under 18 - FREE
Bicycle Parking:
Golden Bike eXperience (GBX) will host a monitored bike corral to accommodate guests who ride their bikes to the event! Please follow the paved Clear Creek Bike Trail that leads to the Colorado Railroad Museum. Bring your own lock and check your bikes at the GBX booth.
We encourage you to bring blankets and/or low-profile "festival" chairs to spread out throughout the Railroad Museum’s spacious grounds. You're welcome to bring your own water bottles, but please NO outside food, drinks, or alcohol. Sorry, no pets!
Please note that the event is rain or shine, and all ticket sales are final and non-refundable.
6:30-8PM Virtual: Teen Short Story Writing Camp

Is your brain constantly filled with story ideas? Do you dream of becoming a published writer? In the Short Story Writing Camp, you’ll brainstorm, write, edit and even have the chance to publish a story of your own!
Over five virtual sessions, we’ll talk about what makes a compelling story, how to write mind-blowing endings and what comes next after you complete a draft. You’ll be guided by local author Tasha Christensen, 2023 Colorado Indie Author Project Contest winner and author of As You Were and Marking Time.
This event series is intended for teens aged 12 – 18 years. Registration is required and is for all five sessions.
Note: The Camp is full, but you can join the waitlist.
4-5PM Adventures in Garden @ Golden Library

Venture into the depths of Golden Library’s Garden as we explore the science of soil, discuss planting climates and evaluate the growth pattern of your plants. Practice your green thumb skills while helping our library garden blossom.
All skill levels welcome. Registration is required.
Note: registration is full, but you can join the waitlist. This session will be offered again on July 30th, and registration will open on July 16th.
Golden Library
1019 10th Street (map)
Live Music for Wednesday, Jun. 5th

6-9PM: Bunny Blake @ Miners Saloon @ Miners Saloon

6-9PM Open Mic Night with Derek Hall @ Morris & Mae
- More Live Music
6PM Live Music @ Rock Rest Lodge
For more information, visit the Golden Today Calendar
Golden History: Power for the Brick Factory

Golden Pressed and Fire Brick Company as shown in the 1893 Golden Globe Industrial Edition – click to enlarge
105 Years Ago
The June 5, 1919 Colorado Transcript informed us that the Golden Fire Brick company was switching from steam power to electricity.
The installation of the electric power units will make possible the enlargement of the plant which has become necessary because of the constantly increasing demand for the splendid product of this plant. Considerable new machinery is now being installed, and the new kilns are being built, which will enable the plant to double its capacity. The power is supplied by the local power company, and the electrical equipment is the best to be had.
The brick company was located on the north side of 8th Street, along the Colorado & Southern Railroad tracks.

The Golden Transcript (originally called the Colorado Transcript) has been publishing since 1866. The Golden History Museum has been working on digitizing the historic issues. You’ll find old Transcripts online at coloradohistoricnewspapers.org.
Weather
Overnight: Clear, with a low around 60. West wind around 9 mph.
Wednesday: Sunny, with a high near 89. Northwest wind 8 to 14 mph, with gusts as high as 22 mph.
Wednesday Night: Mostly clear, with a low around 58. Northwest wind 6 to 13 mph, with gusts as high as 21 mph.
Wednesday Night: Mostly Clear, 58°F
Thursday: Sunny, 88°F
Thursday Night: Mostly Clear, 63°F
Friday: Mostly Sunny then Chance Showers And Thunderstorms, 91°F
Friday Night: Slight Chance Showers And Thunderstorms then Partly Cloudy, 61°F
Saturday: Partly Sunny then Showers And Thunderstorms Likely, 83°F
Saturday Night: Chance Showers And Thunderstorms then Mostly Cloudy, 59°F
Sunday: Slight Chance Showers And Thunderstorms then Showers And Thunderstorms Likely, 76°F
Sunday Night: Chance Showers And Thunderstorms then Mostly Cloudy, 58°F
Monday: Partly Sunny then Showers And Thunderstorms Likely, 77°F
Monday Night: Chance Showers And Thunderstorms then Mostly Cloudy, 57°F
Tuesday: Partly Sunny then Chance Showers And Thunderstorms, 76°F
News Relating to Golden - June 5, 2024

NATIONAL NIGHT OUT | 2024
By Golden Police Department
Crimewatch
The Golden Police Department invites you to our annual National Night Out event from 5 to 8 p.m. on Tuesday, August 6th in Parfet Park on the corner of 10th Street and Washington Avenue in Golden, Colorado. Join us for live music, performances, raffle prizes, free food, and drink, and much more! Read more...
Colorado Railroad Museum hosting Volunteer Fair on June 8
By Joy Meadows
Your Hub
Colorado’s largest railroad museum is looking for volunteers who are interested in helping people learn about the fascinating and important roles that railroads have played in the state’s history... Read more...
Supporters
Many thanks to the people and organizations who support What’s Happening in Golden? If you would like to support local news, please CLICK HERE!

Sponsors:
($100/month and up)
Buffalo Rose, Buglet Solar, Foothills Art Center, Golden City Brewery, Golden Cultural Alliance, Golden History Museum, Miners Alley Performing Arts Center, The Golden Mill, Golden Chamber of Commerce, Golden History Tours, Morris & Mae Market, Miners Saloon, Colorado Railroad Museum, Golden Hayride Outpost, Kona Bowls, Tom Reiley, Michael Mason
Friends:
($50-99.99/month or $500/yr)
Tall Pines Painting, Baby Doe’s Clothing, Goozell Yogurt & Coffee Paul Haseman, Donna Anderson, Carol & Doug Harwood, Beth Bidwell, Stephanie Painter, Greg Poulos, and Joy Brandt
Supporters:
($25-49.99/month or $250/yr)
Laura King and Scott Wilson, Bobby German and Alison McNally, Ann Norton & Jonathan Storer, Forrest Jones, Barry & Liz Bettis, Cheryl & Tom Schweich, Marjorie Sloan, Chris and Joyce Davell, Rick Flint, Forrest Jones, AC Development, Cynthia Merrill Tamny, Stephen Pero, Meg Van Ness & Steve Kalasz
Members:
($10-24.99/month or $100/yr)
Brad Miller & Julie Bartos, Holly Thomas, Jim and LouAnne Dale, Ann Pattison, Thomas Hoffman, Carol Abel, Brian Quarnstrom, Sandra Curran, Bobby German and Alison McNally, Kathy Smith, Karen Smith, Carlos & Nancy Bernal, Robert Storrs, Michele Sannes, Elaine Marolla, Dixie Termin & Ron Miller, E Tom Hughes, Crystal M Culbert, Patrick A. Madison, Alice Madison & Jim Kalivas, Deb Goeldner, Christopher Ball, 6th Chair Home Services, Dot & Eric Brownson, Rosemary Coffman, Emeline Paulson, Casey & Gina Brown, Sandy Schneider, Mark and Cathy Pattridge, Cheryl G Leidich, Jen Rutter, Carol Abel, Frani R Bickart, Jennings and Litz, Bill Sedgeley, Nancy Hughes, Justin L Wade, Kathi Eggers, Traci Case, Donna Owen, Leslie D Lutz, Karen Oxman, Catherine Skokan, Ross Fraser, Lynne Haigh, Elizabeth Hilliard, Frank Young & Terre Deegan-Young, Kathy Hirons & Jack Markin, Jess & Anthony Monasterio, Ella Lyons & Jeanne Fritch, and the Golden Transcript
Followers:
($5-9.99/month)
Golden Community Garden, Lora Haimes, Mariane Erickson