Skip to content

Search the site

6:30PM Planning Commission Meeting @ City Hall

Click to enlarge


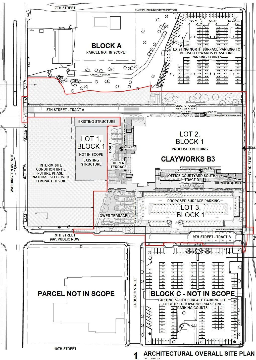
The Planning Commission will review the plans for the first building in the CoorsTek redevelopment/Clayworks-to-Be. It will be a 4-story office building in the center-east section of the property (labeled as "Clayworks B3" on the drawing above).

You may recall that the overall plan for the 5-block property, which was reviewed by Planning Commission in the spring of 2022, anticipates significant increases in traffic, which will require significant changes to the surrounding streets. This first building will not generate enough new traffic to require those changes yet.

Likewise, the fully-built-out plan would, under normal City zoning codes, require more parking than they plan to include. They propose an alternative to onsite parking known as "Transportation Demand Management." This would allow a range of alternatives such as encouraging tenants to use bicycles or mass transit, rather than driving to the site. If necessary, they will add off-site parking. This, too, will not be necessary when this first building opens, because the existing surface lots at the northeast and southeast corners will still be available.

See the meeting packet for more information about the project plans and status.

Highlights