
What’s Happening in Golden Today?
6-6:55AM Cardio Lift Interval (Virtual)
8-8:55AM Tai Chi (Virtual)
8:30-9:30AM Power Training (Virtual)
9AM Golden Walks – Wednesday Morning Celebrating Life @ Golden Library
10AM Wild West Walking Tour
10:15-10:45AM Toddler Time @ Golden Library
3-5PM Hard Times Writing Workshop (Virtual)
6-6:55AM Cardio Lift Interval (Virtual)
4PM Wild West Short Tour
5-6PM Arte de mi Corazón (Virtual)
6:30PM League of Women Voters – 2022 Ballot Issues Presentation (Virtual)
What’s on your Colorado Ballot regarding initiatives? Come and find out!!! This Zoom meeting will have a presentation regarding these issues. Register
www.VOTE411.org for online, nonpartisan voting information
6:30-7:30PM Money Matters – Medicare and Medicare Options
6:30PM Fall Band Concert @ Golden High School
6:30PM Planning Commission Study Session @ City Hall

The Planning Commission will review the Planning Director’s decision to approve a new duplex on a lot that formerly held a single family dwelling, built in 1920. The house has already been demolished. The single lot is being subdivided into two lots–one for each half of the duplex. More info….

They will also be asked to ratify the Director’s decision to approve a “Major Adjustment” to 1106 12th Street (map). The owners want to built an Accessory Dwelling Unit over their garage. City code says that a lot that size can have a maximum of 3,000 square feet of finished space. The planned ADU would put them at 3192 square feet–that’s the “major adjustment.” Learn more….

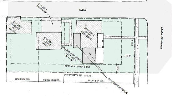
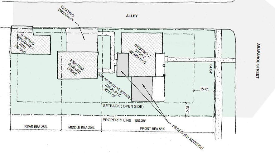
They are also being asked to approve a Major Adjustment for an addition to 530 Arapahoe St. (map). This one would exceed maximum square footage for the lot by 500 feet. Learn more….
They will review updates to the South Neighborhoods Plan. There had been earlier talk about the old Heritage Square site becoming Open Space. That’s now off the table–it will be redeveloped into something commercial. The Planning Commission will discuss ways to increase density and add affordable housing along Colfax. Staff is trying to persuade the owners of the Golden Terrace mobile home park to accept new zoning, which would prevent them from redeveloping the property into anything other than a mobile home park. The Bachman property will be redeveloped into parkland, but it must accommodate some flood control detention ponds. Learn more….
They will discuss the Bike and Pedestrian Master Plan, which is currently under development. The City asked residents and businesses to complete a survey, and has received 1,000 responses. The anticipated result will be wider sidewalks and more bike lanes. Learn more….
Live Music

5-8PM Kory Montgomery @ Golden Mill
6:30PM Open Jam/Mic at Over Yonder Brewing
Golden History Moment

106 Years AgoCharles Rouse, Theo. Petrie and Bry Fleming purchased Fords last week from the Williams company.
Colorado Transcript – October 19, 1916

In the 19-teens, the purchase of an automobile was news-worthy enough that it warranted a mention in the local paper. The three gentlemen listed above bought their cars from Bill Williams–the man who built the Lariat Loop road up Mount Zion and Lookout Mountain. His garage was located in the building now occupied by Woody’s Pizza.

It took some courage to drive a car in those days, as motorists were constantly running into each other.

The August 5, 1915 Colorado Transcript included an article describing “at least nine automobile accidents…in this county during the past four days.”
1 The worst accident occurred on the North Golden Road (44th St.) near Mt. Olivet Cemetery. a car “plunged off the road and turned over several times.” There were five occupants and all were thrown from the car. One woman had a broken back and internal injuries and was expected to die. One received a compound fracture of a leg and dangerous internal injuries. A third occupant had a deep gash in the forehead, the fourth a broken arm, wrenched ankle, and deep cuts about the head, and the fifth had internal injuries.
2 The next accident occurred when an auto containing five people skidded off the road between Golden and Idaho Springs and tumbled down a mountain side. The car turned over twice. All were painfully injured and one was taken to a hospital with internal injuries.
3 A Roadster went off the road west of Morrison and turned completely over. All were injured, but one woman had serious internal injuries because the car “landed squarely on her body.”
4 Another car went over a three foot embankment and turned over.
5 A “big International truck” went down a fifty foot bank near the Golden Smelter. It landed upside down after rolling over twice.
6 Near the same spot and within half an hour of that accident, a Ford hurdled over the edge of the road and landed 15 feet below in a pile of boulders.
7 A big touring car crashed into Louis Brunell’s car near Windy Point.
8 A Ford went off the road west of Genesee Park and landed in the trees fifty feet below, but the occupants were able to jump to safety.
9 “A big sight-seeing steamer…ran into an eight cylinder Cadillac on Lookout Mountain and tore one of the wheels completely off.” The driver of the steamer did not slacken his speed.

10 “A big touring car…plunged into the bank near Windy Point, and one of the front wheels was broken off.”
It was a thrilling and very dangerous time to be a motorist. The roads were hazardous, the drivers were all new and unskilled, and there were few rules or protocols to keep the new toys from colliding.
Many thanks to the Golden History Museum for providing the online cache of historic Transcripts as well as the Golden Transcript for documenting our history since 1866!
Thanks to the Golden History Museum for providing the online cache of historic Transcripts, and to the Golden Transcript for documenting our history since 1866!